Scientists have urged to take actions to revitalize coral reefs, warning that Vietnam should not dream of developing tourism with barren seabed.

Vietnam’s sea corals in danger
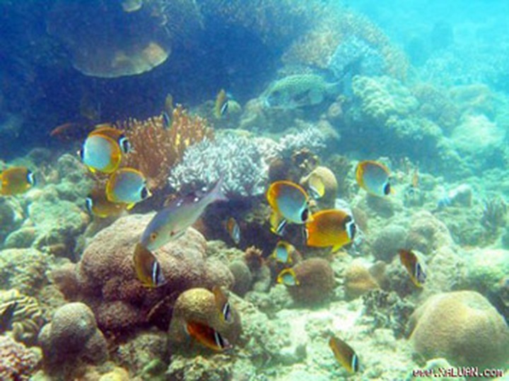
Vietnam’s sea corals, 1122 square kilometers in total area, which plays a very important role in the ecosystem existence, has been in danger. Scientists have warned that if the ecosystem disappears, Vietnamese sea would turn into the water desert.
Vietnamese sea gathers 340 coral species out of the total 800 coral varieties in the world, thus being considered. Coral reefs are seen in thick density at the sea areas in Nha Trang, Truong Sa, Hoang Sa, Hon Mun of Khanh Hoa province.
However, the sea corals are facing big challenges. According to the General Department of Sea and Islands of Vietnam, 20 percent of coral reefs have poor live coral coverage (0-25 percent), 60 percent of coral reefs have low coverage (26-50 percent), while 17 percent are still good (51-75 percent), and only 3 percent very good (over 75 percent).
Vietnamese oceanographers have warned that if corals are continuously attacked, aquatic creatures would have no more places to reside and reproduce. The Vietnam Oceanography Institute has warned that coral resources have never before faced such big challenges like now. In the coastal areas in the central region, exploiting corals has become a profession for many fishermen.
A series of coral reefs have been eliminated, the coastal grass which has the function of balancing the sea ecosystem has also disappeared. Dr Vo Si Tuan, Deputy Head of the Nha Trang Oceanography Institute has expressed his worry that the disappearance of coral reefs also means the exhaustion of aquatic resources.
“Vietnam should not dream of developing tourism with barren seabed. No one would spend money to dive and see nothing on the seabed,” he said.
Vietnam succeeds in revitalizing and cultivating hard corals
In an effort to rehabilitate and protect the valuable and beautiful coral reefs that serve the sustainable development of the sea ecosystem, the government has put a lot of coral varieties into the list of rare and precious aquatic creatures which are in the danger of exhaustion.
Besides this, the coral reefs have also been protected by the marine protected areas (MPAs) and local residents. According to Tuan, hard corals have been decreasing in most of MPAs. Therefore, the Nha Trang Oceanography Institute has decided to cultivate and rehabilitate hard corals in Cu Lao Cham and Nha Trang Bay MPAs.
One month ago, the institute and the Cu Lao Cham MPA’s management board organized a training course on coral reef supervision, where the coral cultivation technology was transferred to the board of management and six local residents in the island famous for beautiful coral reefs.
After nine days, the learners have built up two coral incubators in Hon Tai, Ran Me and two other points in Bai Bac and Bai Huong, about 1000 “coral branches” as called by local residents, on the total area of 4000 square meters.
According to Huynh Ngoc Dien from the Cu Lao Cham MPA, the biggest success of the program is the revival of hard corals and the change of the awareness of local people. Those, who previously exploited corals to get money, now revive the coral reefs and return their natural beauty.
The US scientists have warned that the life of coral reefs in the world would be seriously endangered by 2050, if the CO2 emission continues increasing. They have called on to take actions immediately to protect coral reefs, which are not only the source of life for fishes, but also of more than one billion Asian people.




















