
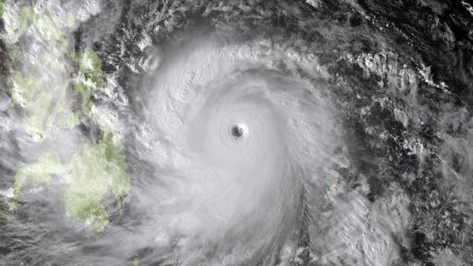
This NOAA image shows Super Typhoon Haiyan taken by the Japan Meteorological Agency's MTSAT at 0630Z on November 7, 2013
Haiyan was over the island of Samar, about 600 kilometres southeast of Manila, after making landfall at the coastal town of Guiuan at 4:40am (2040 GMT Thursday), state meteorologist Romeo Cajulis said.